IMAGE

Fig. 2

ID
ZDB-IMAGE-190301-20
Source
Figures for Hill et al., 2018
Image
Figure Caption

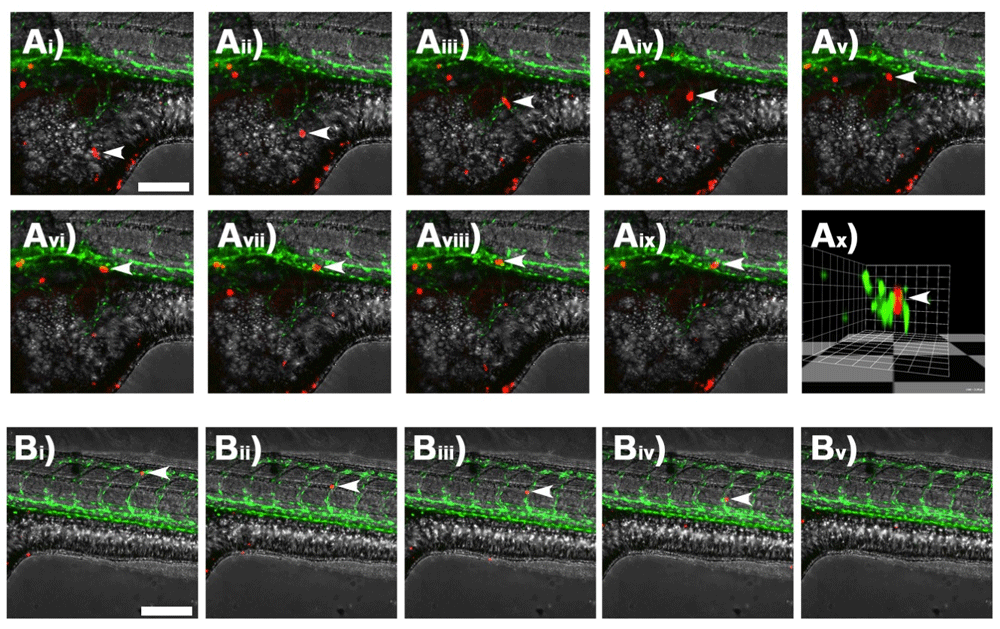
Fig. 2 Single cell tracking by time-lapse confocal microscopy. Ai–ix) Confocal z-stack images taken at 15 minute intervals showing an individual DiI-labelled A375 melanoma cell (white arrows) migrating within the yolk sac of a casper zebrafish embryo and interacting with a GFP-tagged blood vessel. Ax) 3D-render of image Aix rotated to show the transverse section through the GFP-tagged blood vessel with DiI-labelled melanoma cell indicated by white arrows. Bi–v) Confocal z-stack images taken at 15 minute intervals showing an individual DiI-labelled melanoma cell (white arrows) within the GFP-tagged blood vessels of a casper zebrafish embryo. Scale bar = 150 μm.

Acknowledgments
This image is the copyrighted work of the attributed author or publisher, and ZFIN has permission only to display this image to its users. Additional permissions should be obtained from the applicable author or publisher of the image. Full text @ F1000Res